reg_medlem2 
 
printable Utskriftsvänlig sida
 
 
Bilduppsättningar
paged_firstFörsta
paged_prevSidan av 3paged_next_off Sistapaged_last_off
Mera kartor
Kompletteringar till Martins kartor med översiktsbild mm.
OBS, varierande skalor!
 
00_diseröd 01_tyfter 025_fualvihabj 04_torp_hela 085_tyfter 
Jörgen Gahne - Onsdag 9 Aug 2006
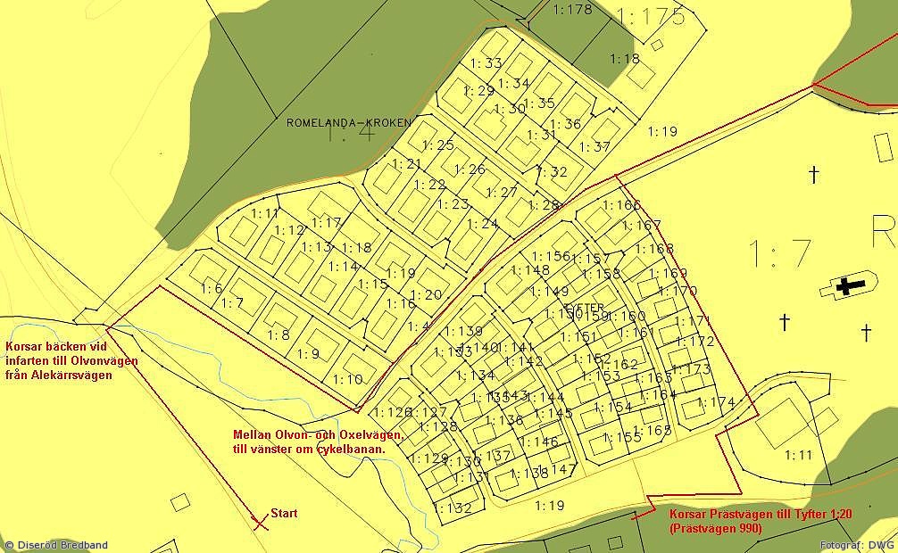
Projektkartor utsättning
Kartor med den preliminär kabeldragning utritad, inför utsättning av Telia
 
00_diseröd 01_oxelvägen 02_mitten 03_björkstigen_hasselvägen 04_torp 05_norra torp 06_rönnvägen 07_affären 08_tyfter 
Jörgen Gahne - Onsdag 9 Aug 2006
Projektkartor övrigt
Övriga kartor med projekterad kabeldragning helt eller delvis utritad.
 
00_diseröd_vägverket 01_oxelvägen_kyrkan 
Jörgen Gahne - Onsdag 9 Aug 2006
Martins kartor

Martins första utdrag från kartprogrammet DWG.
Alla kartor i samma skala.

 
oxelvägen mitten sälgvägen björkstigen hasselvägen torp norra torp rönnvägen affären tyfter 
Jörgen Gahne - Torsdag 13 Apr 2006
paged_firstFörsta
paged_prevSidan av 3paged_next_off Sistapaged_last_off